HelpMeFind Roses, Clematis and Peonies
Roses, Clematis and Peonies
and everything gardening related.
DescriptionPhotosLineageAwardsReferencesMember RatingsMember CommentsMember JournalsCuttingsGardensBuy From 
'Melchior Salet' rose Description
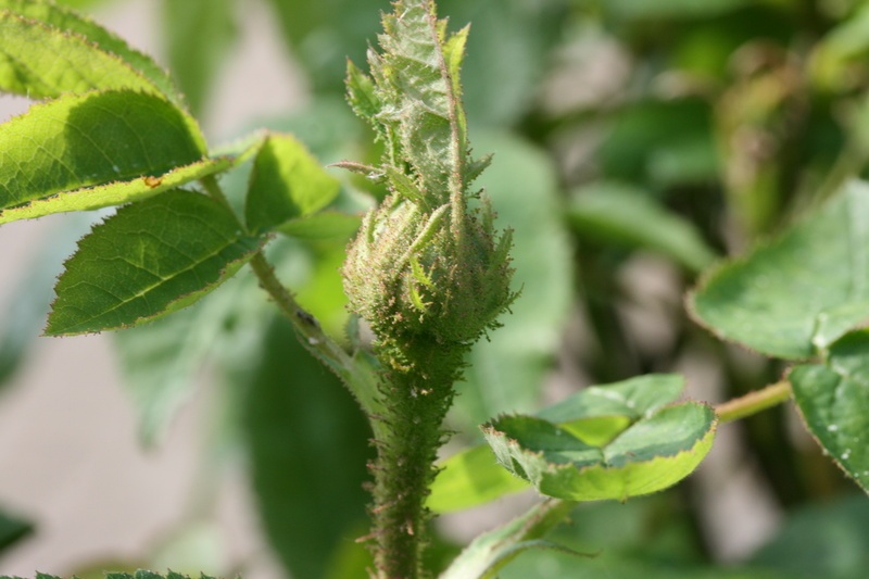
'Salet (Moss, Lacharme, 1854)' rose photo
Photo courtesy of Monique
Availability:
Commercially available
Synonyms:
Salet
HMF Ratings:
76 favorite votes.  
Average rating: EXCELLENT-.  
ARS:
Medium pink Moss.
Registration name: Salet (Moss, Lacharme, 1854)
Origin:
Bred by François Lacharme (France, 1854).
Introduced in Australia by Thomas Lang in 1866 as 'Salet'.
Class:
Moss.  
Bloom:
Rose-pink, lighter edges, lighter reverse.  Moderate fragrance.  up to 50 petals.  Average diameter 2.5".  Very large, very full (41+ petals), cupped-to-flat bloom form.  Occasional repeat later in the season.  Mossed buds.  
Habit:
Upright.  

Height: 3' to 5' (90 to 150cm).  Width: 3' to 4' (90 to 120cm).
Growing:
USDA zone 5b through 9b.  Can be used for cut flower or garden.  Hardy.  vigorous.  
Patents:
Patent status unknown (to HelpMeFind).
Ploidy:
Tetraploid
Parentage:
Notes:
For a definition of Perpetual Moss, see its entry in the Glossary...
Difference of opinion about breeder, see References.
Some German nurseries seem to sell 'Salet' as 'Miranda'. It should easy to distinguish both - 'Salet' has mossy buds, while 'Miranda' has no moss.
 
© 2025 HelpMeFind.com